OFFERS NEEDED NOW
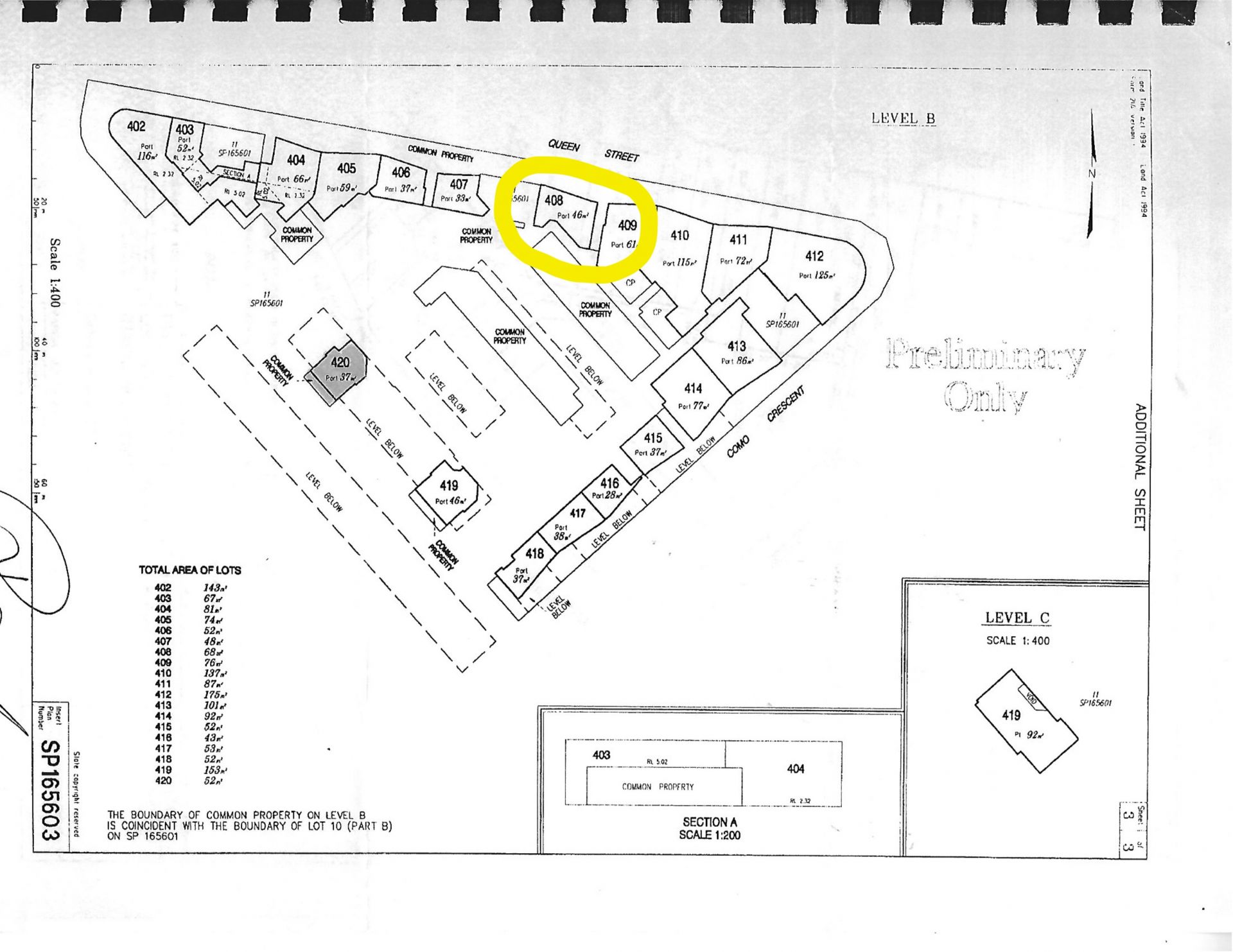
408, 1 Como Crescent, Southport, QLD 4215
HIGH PROFILE RETAIL SPACE
Looking for a great investment, or a new space for your business? You'll love this light & bright space in the sought-after "Shores" building in Southport's Sundale precinct.
Set in a brilliant location facing busy Brighton Parade, straight across the road from the Broadwater Parklands light rail station, with plenty of foot traffic, great restaurant, beauty & medical neighbours, and thousands of potential customers upstairs & in the surrounding Meriton apartments, shop 408 is ideal for a variety of uses.
Currently utilised as a beauty business by the owner, the property features:
- A great layout with a foyer space, 1 enclosed office/treatment room, and 2 versatile partitioned areas
- large windows & double glass doors for plenty of natural light, and high ceilings
- tiled floors throughout
- air conditioned throughout
- Back door with access to the visitor carpark
- 1 car park in the secure commercial parking area, with an adjoining storage shed, approx 5m²
Approx area:
- 46m² internal
- 22m² carpark & storage shed
- 68m² total
Ideally the owner would like to rent back, providing an easy investment, but all offers will be considered if you're purchasing for your own use
Body corp fees approx $102/week including "pay on time discount", paid quarterly
Last water & sewerage bill to 20/05/25 - $264.04/quarter inc usage & services
Council rates TBA
Don't miss this beauty! Call Joe Farr today for a private viewing or more details.
Disclaimer: Whilst all care and attention have been taken to ensure that the information contained in the above advertisement is true and correct at the time of publication, Farr Real Estate gives no warranty or assurance and makes no representation as to the accuracy or reliability of the information contained. It is advised that any prospective purchaser make their own inquiries and/or inspection before purchase.
Set in a brilliant location facing busy Brighton Parade, straight across the road from the Broadwater Parklands light rail station, with plenty of foot traffic, great restaurant, beauty & medical neighbours, and thousands of potential customers upstairs & in the surrounding Meriton apartments, shop 408 is ideal for a variety of uses.
Currently utilised as a beauty business by the owner, the property features:
- A great layout with a foyer space, 1 enclosed office/treatment room, and 2 versatile partitioned areas
- large windows & double glass doors for plenty of natural light, and high ceilings
- tiled floors throughout
- air conditioned throughout
- Back door with access to the visitor carpark
- 1 car park in the secure commercial parking area, with an adjoining storage shed, approx 5m²
Approx area:
- 46m² internal
- 22m² carpark & storage shed
- 68m² total
Ideally the owner would like to rent back, providing an easy investment, but all offers will be considered if you're purchasing for your own use
Body corp fees approx $102/week including "pay on time discount", paid quarterly
Last water & sewerage bill to 20/05/25 - $264.04/quarter inc usage & services
Council rates TBA
Don't miss this beauty! Call Joe Farr today for a private viewing or more details.
Disclaimer: Whilst all care and attention have been taken to ensure that the information contained in the above advertisement is true and correct at the time of publication, Farr Real Estate gives no warranty or assurance and makes no representation as to the accuracy or reliability of the information contained. It is advised that any prospective purchaser make their own inquiries and/or inspection before purchase.
Property Info
Municipality
Southport
Thank You
Your enquiry has been sent!
Enquiry is Failed
Please contact your administrator.