Contact Agent
Lot 12 Kooyonga Avenue, Port Lincoln, SA 5606
Prime Industrial Land – High-Exposure Allotments in Sought-After Location
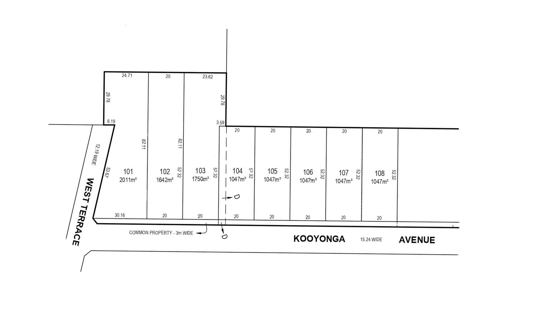
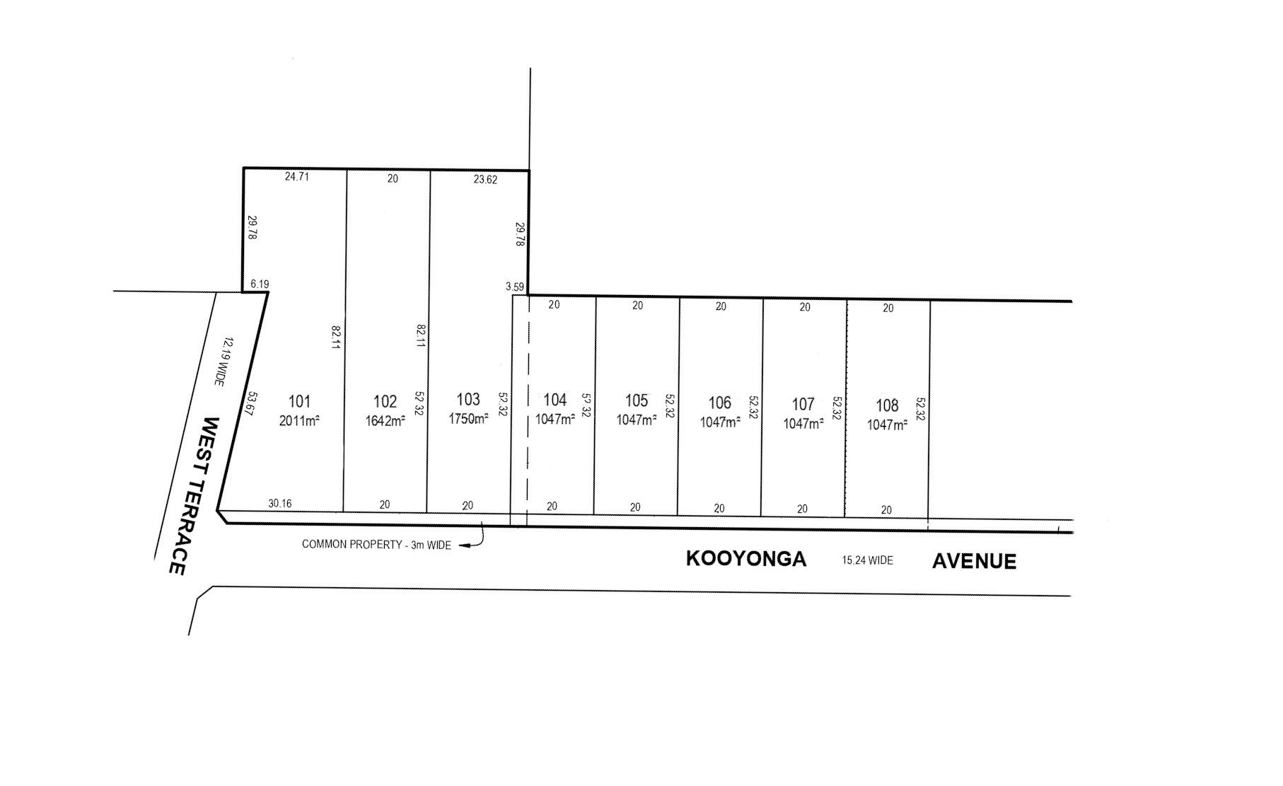
An exceptional opportunity presents itself with eight prime industrial allotments, ranging in size from 1,047m2 to 2,011m2 and priced from $221,105 + GST to $432,365 + GST. Located in a highly visible and strategic position between Port Lincoln's CBD and Lincoln Cove Marina, this brand-new industrial development offers outstanding potential for businesses looking to expand, invest, or establish a presence in a thriving commercial hub.
Key features include:
- Generous Allotment Sizes: 1,047m2 – 2,011m2, catering to a range of business needs.
- Excellent Frontage: 20 metre frontage to Kooyonga Avenue, with Lot 101 boasting a wider 30 metre frontage.
- Zoned Employment: Suitable for marine services, storage facilities, light manufacturing, and more.
- Prime Industrial Surroundings: Situated among other established industrial buildings, ensuring a strong commercial presence.
- Strategic Accessibility: Easy access to major arterial roads for efficient logistics and transport.
- Limited Availability: Industrial land of this profile rarely becomes available – act fast to secure your spot!
Lot 101 - 2,011m2 - $432.365 + GST
Lot 102 - 1,642m2 - $353,030 + GST
Lot 103 - 1,750m2 - $376,250 + GST
Lot 104 - 1,047m2 - UNDER CONTRACT
Lot 105 - 1,047m2 - UNDER CONTRACT
Lot 106 - 1,047m2 - UNDER CONTRACT
Lot 107 - 1,047m2 - UNDER CONTRACT
Lot 108 - 1,047m2 - UNDER CONTRACT
Whether you're looking to expand your operations, invest in Port Lincoln's growing industrial sector, or build a purpose-built facility, these allotments provide a unique and sought-after opportunity.
Don't miss out – secure your prime industrial site today! Contact us for further details.
*All information provided has been obtained from sources we believe to be accurate, however, we cannot guarantee the information is accurate and we accept no liability for any errors or omissions (including but not limited to a property's land size, boundary overlays, floor plans and size, building age and condition). Interested parties should make their own enquiries and obtain their own legal advice.
Key features include:
- Generous Allotment Sizes: 1,047m2 – 2,011m2, catering to a range of business needs.
- Excellent Frontage: 20 metre frontage to Kooyonga Avenue, with Lot 101 boasting a wider 30 metre frontage.
- Zoned Employment: Suitable for marine services, storage facilities, light manufacturing, and more.
- Prime Industrial Surroundings: Situated among other established industrial buildings, ensuring a strong commercial presence.
- Strategic Accessibility: Easy access to major arterial roads for efficient logistics and transport.
- Limited Availability: Industrial land of this profile rarely becomes available – act fast to secure your spot!
Lot 101 - 2,011m2 - $432.365 + GST
Lot 102 - 1,642m2 - $353,030 + GST
Lot 103 - 1,750m2 - $376,250 + GST
Lot 104 - 1,047m2 - UNDER CONTRACT
Lot 105 - 1,047m2 - UNDER CONTRACT
Lot 106 - 1,047m2 - UNDER CONTRACT
Lot 107 - 1,047m2 - UNDER CONTRACT
Lot 108 - 1,047m2 - UNDER CONTRACT
Whether you're looking to expand your operations, invest in Port Lincoln's growing industrial sector, or build a purpose-built facility, these allotments provide a unique and sought-after opportunity.
Don't miss out – secure your prime industrial site today! Contact us for further details.
*All information provided has been obtained from sources we believe to be accurate, however, we cannot guarantee the information is accurate and we accept no liability for any errors or omissions (including but not limited to a property's land size, boundary overlays, floor plans and size, building age and condition). Interested parties should make their own enquiries and obtain their own legal advice.
Property Info
Municipality
Port Lincoln
Thank You
Your enquiry has been sent!
Enquiry is Failed
Please contact your administrator.