Expression of Interest
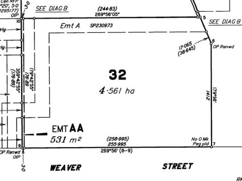
Lot 32 Weaver Street, Atherton, QLD 4883
4.56ha Urban Vacant Land - Potential Residential Subdivision STCA
Lot 32 Weaver Street, Atherton QLD 4883
The subject property is fully fenced cleared grazing land. The 4.56 Hectares site has no current due to parts of Weaver Street not being unformed at the time of our inspection. The property was originally purchased for future planned 49 lot residential development by the adjoining eastern owner but is now available for sale.
Zoned Low Density Residential - The envisioned residential subdivision will comprise 49 lots of varying sizes mostly 800m2 (with 14 lots at 615 - 631m2 ) and will primarily serve as the extension of the planned adjacent residential estate at Lot 4 Weaver.
• Site Area: 45,600m²
• Zoned Low Density Residential (borders Rural, Agricultural Zoned land to south)
• Planned future access from Quadrio Street
• Slightly sloping with adequate building contour and no apparent adverse features
• The site’s southern boundary adjoins the proposed Southern Link Road
Survey plans of proposed lots layout and further information available to serious buyers on request.
Expressions of Interest invited
Interested in this property? Contact us today
Trevor Gard: 0418 181 677 or Peter Mack: 0428 724 954
[email protected] www.npproperty.com.au
The subject property is fully fenced cleared grazing land. The 4.56 Hectares site has no current due to parts of Weaver Street not being unformed at the time of our inspection. The property was originally purchased for future planned 49 lot residential development by the adjoining eastern owner but is now available for sale.
Zoned Low Density Residential - The envisioned residential subdivision will comprise 49 lots of varying sizes mostly 800m2 (with 14 lots at 615 - 631m2 ) and will primarily serve as the extension of the planned adjacent residential estate at Lot 4 Weaver.
• Site Area: 45,600m²
• Zoned Low Density Residential (borders Rural, Agricultural Zoned land to south)
• Planned future access from Quadrio Street
• Slightly sloping with adequate building contour and no apparent adverse features
• The site’s southern boundary adjoins the proposed Southern Link Road
Survey plans of proposed lots layout and further information available to serious buyers on request.
Expressions of Interest invited
Interested in this property? Contact us today
Trevor Gard: 0418 181 677 or Peter Mack: 0428 724 954
[email protected] www.npproperty.com.au
Property Info
Municipality
Atherton
Thank You
Your enquiry has been sent!
Enquiry is Failed
Please contact your administrator.