For Sale
7 Ross Street, Eagleby, QLD 4207
Prime Future Potential
Land Use 1: Residential - Large Homesite
Zoning: FUTURE URBAN (ALBERT) (3460)
Escape the urban rush and embrace serene living in this impeccably presented home nestled atop a hill in Eagleby. A chance to own this residence while still enjoying city conveniences is truly a rare find. The main dwelling, dating back to the 1930s, offers an elevated perspective and a spacious living environment perfect for hosting gatherings. Every window frames picturesque views of the landscape and beyond. Living at 7 Ross Street comes with a host of privileges. Residents enjoy direct access to prime crabbing and fishing spots along the river via a jetty, promising leisurely pursuits amidst aquatic beauty. Moreover, the property exudes the timeless allure of a classic Queenslander home, infusing daily life with historical charm and character. Its distinctive architecture creates an enchanting ambiance, distinguishing it from others in the neighborhood.
An enticing investment opportunity awaits with a self-contained granny flat on the premises, providing a steady rental income. This additional unit adds flexibility and potential for returns, appealing to investors and homeowners seeking financial gains. Nestled within a peaceful cul-de-sac, residents relish the warmth of a tight-knit community, fostering a harmonious living environment.
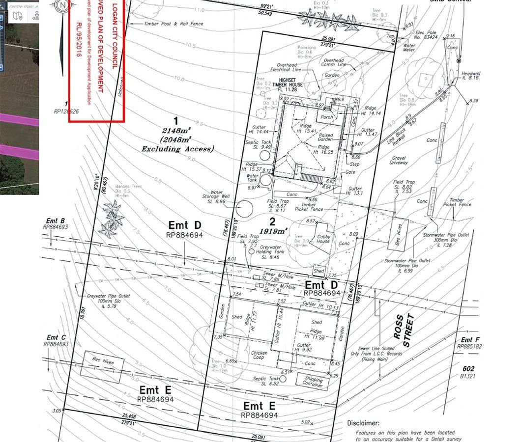
Key details include a generous land area of 4047m2, previously approved for subdivision into two blocks measuring 1,919m2 and 2,148m2 respectively. These dimensions underscore the vast potential and value awaiting prospective buyers or investors keen on a unique property with versatile prospects.
Conveniently located amidst established amenities, the property offers easy access to schools, parks, shopping centers, medical facilities, and recreational venues. Residents benefit from the proximity to essential services and entertainment options, just moments from their doorstep. Investors and developers stand to gain from Eagleby's robust market demand, driven by its strategic positioning and ongoing expansion. The area's steady population growth underscores the need for additional housing and commercial spaces.
Highlights:
- 6.6 KW Solar Panels
- Automated Gate
- 5-minute Walk to Albert River
- 5-minute Walk to Oliver Sporting Complex
- 1.0km to Doug Larsen Park
- 1.0km to St Joseph's & Trinity College
- 1.0km to M1 Pacific Motorway (Brisbane CBD & Gold Coast)
- 2.0km to Beenleigh State High School
- 2.0km to Beenleigh Town Centre & Train Station
Positioned advantageously with immense potential and surging demand, this property offers a rare opportunity for savvy investors. Whether to hold, refurbish, demolish, or subdivide the land (STCA), the choice is yours. Rest assured, your investment in this thriving suburb is poised for success.
                        
                    Zoning: FUTURE URBAN (ALBERT) (3460)
Escape the urban rush and embrace serene living in this impeccably presented home nestled atop a hill in Eagleby. A chance to own this residence while still enjoying city conveniences is truly a rare find. The main dwelling, dating back to the 1930s, offers an elevated perspective and a spacious living environment perfect for hosting gatherings. Every window frames picturesque views of the landscape and beyond. Living at 7 Ross Street comes with a host of privileges. Residents enjoy direct access to prime crabbing and fishing spots along the river via a jetty, promising leisurely pursuits amidst aquatic beauty. Moreover, the property exudes the timeless allure of a classic Queenslander home, infusing daily life with historical charm and character. Its distinctive architecture creates an enchanting ambiance, distinguishing it from others in the neighborhood.
An enticing investment opportunity awaits with a self-contained granny flat on the premises, providing a steady rental income. This additional unit adds flexibility and potential for returns, appealing to investors and homeowners seeking financial gains. Nestled within a peaceful cul-de-sac, residents relish the warmth of a tight-knit community, fostering a harmonious living environment.
Key details include a generous land area of 4047m2, previously approved for subdivision into two blocks measuring 1,919m2 and 2,148m2 respectively. These dimensions underscore the vast potential and value awaiting prospective buyers or investors keen on a unique property with versatile prospects.
Conveniently located amidst established amenities, the property offers easy access to schools, parks, shopping centers, medical facilities, and recreational venues. Residents benefit from the proximity to essential services and entertainment options, just moments from their doorstep. Investors and developers stand to gain from Eagleby's robust market demand, driven by its strategic positioning and ongoing expansion. The area's steady population growth underscores the need for additional housing and commercial spaces.
Highlights:
- 6.6 KW Solar Panels
- Automated Gate
- 5-minute Walk to Albert River
- 5-minute Walk to Oliver Sporting Complex
- 1.0km to Doug Larsen Park
- 1.0km to St Joseph's & Trinity College
- 1.0km to M1 Pacific Motorway (Brisbane CBD & Gold Coast)
- 2.0km to Beenleigh State High School
- 2.0km to Beenleigh Town Centre & Train Station
Positioned advantageously with immense potential and surging demand, this property offers a rare opportunity for savvy investors. Whether to hold, refurbish, demolish, or subdivide the land (STCA), the choice is yours. Rest assured, your investment in this thriving suburb is poised for success.
Property Info
Municipality
                            Eagleby
                        Thank You
Your enquiry has been sent!
Enquiry is Failed
Please contact your administrator.