$73,150
Lot 59 Bartsch Drive, Port Pirie, SA 5540
Hard to find Industrial Blocks
If expansion is one the cards then why not here?
Three Superb allotments all side by side that make a massive complex of pick the one you want.
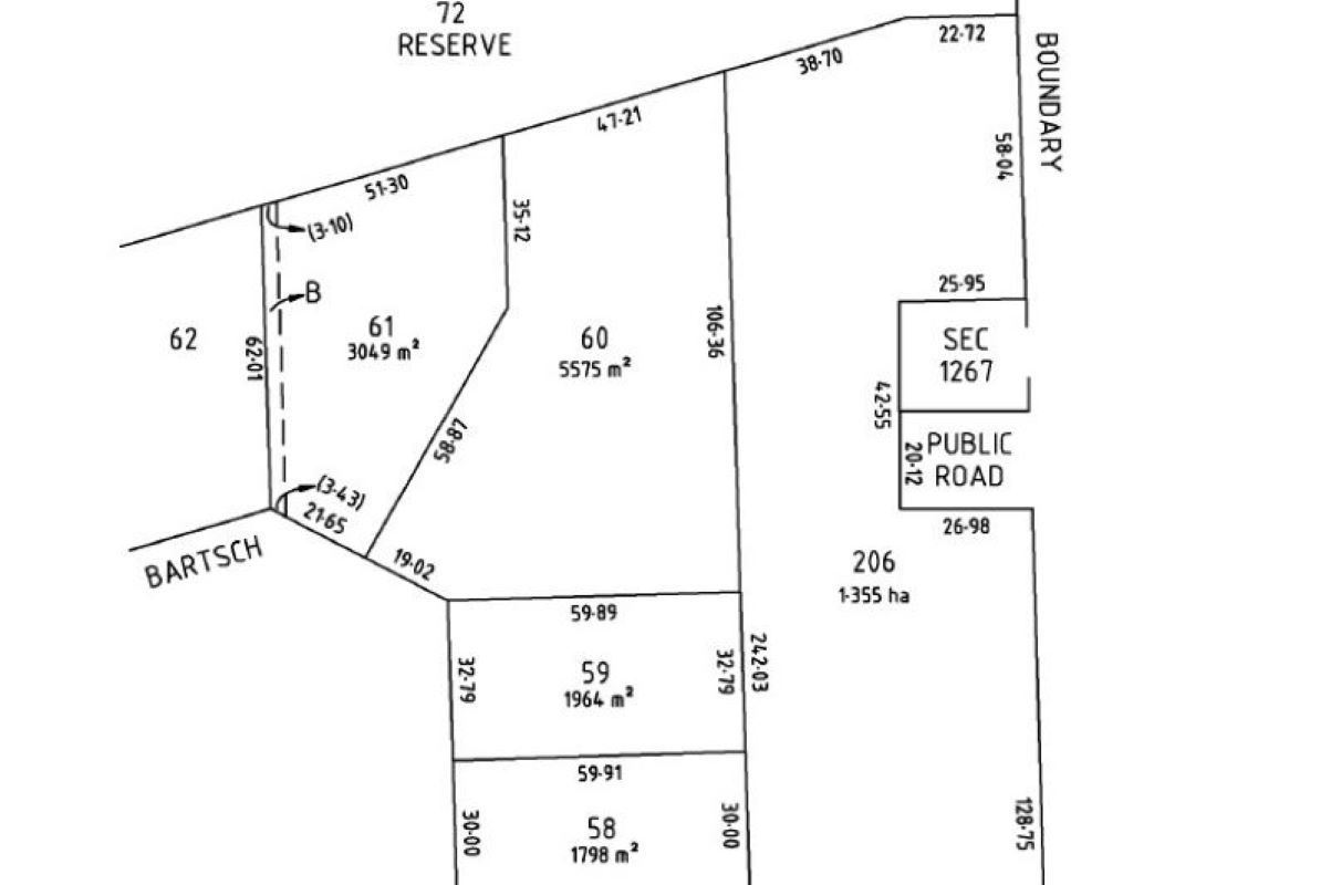
Lot 59 is the southernmost block is 1964sqm and rectangular in shape with 32+m frontage and ideal for most smaller mid industrial sites.
Adjoining is the irregular shaped but massive 5575sqm Lot 60 with 19+m frontage and Eastern edge of over 106m.
Lot 61 has 21+m frontage with 3049sqm size and a 3m easement for sewer down its western edge.
All together its 10588sqm or over 2.5acres with plenty of scope for any business.
Located in the busy Flinders Industrial Estate adjacent Spencer Highway with many established businesses.
Lot 59 $80,000 Area 1964sqm Council Rates $1,259.54
Lot 60 $150,000 Area 5575sqm Council Rates $1,678.00
Lot 61 $110,000 Area 3049sqm Council Rates $1,259.54
Please note there is GST to go on top of these figures.
Three Superb allotments all side by side that make a massive complex of pick the one you want.
Lot 59 is the southernmost block is 1964sqm and rectangular in shape with 32+m frontage and ideal for most smaller mid industrial sites.
Adjoining is the irregular shaped but massive 5575sqm Lot 60 with 19+m frontage and Eastern edge of over 106m.
Lot 61 has 21+m frontage with 3049sqm size and a 3m easement for sewer down its western edge.
All together its 10588sqm or over 2.5acres with plenty of scope for any business.
Located in the busy Flinders Industrial Estate adjacent Spencer Highway with many established businesses.
Lot 59 $80,000 Area 1964sqm Council Rates $1,259.54
Lot 60 $150,000 Area 5575sqm Council Rates $1,678.00
Lot 61 $110,000 Area 3049sqm Council Rates $1,259.54
Please note there is GST to go on top of these figures.
Property Info
Municipality
Port Pirie
Thank You
Your enquiry has been sent!
Enquiry is Failed
Please contact your administrator.