$3,860,000
31 Blackbird St & 53 Pheasant Ave, Beenleigh, QLD 4207
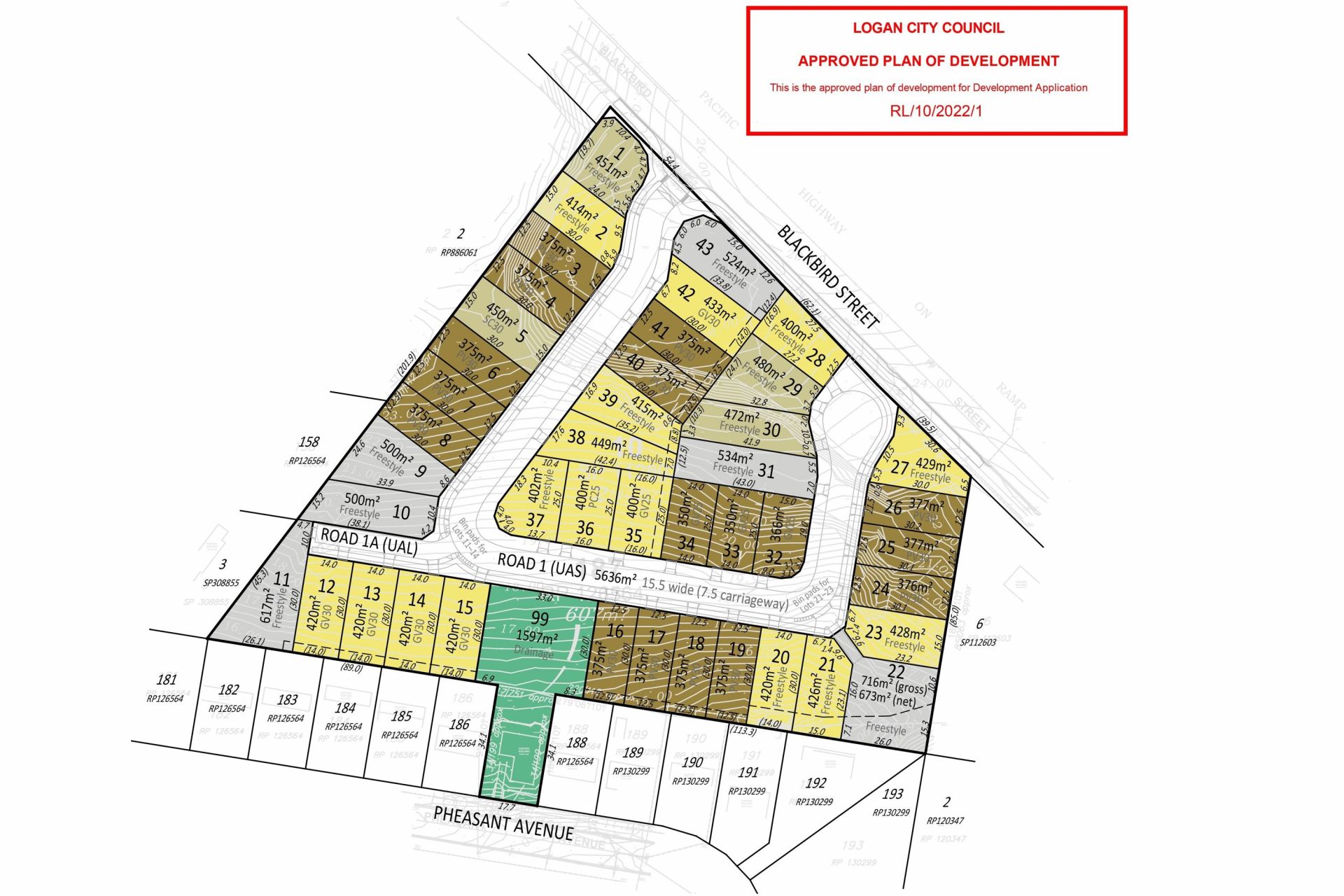
Rare In-Fill 43 Lot DA Approved Subdivision
Watch Full Detail Video at: www.31Blackbird.com
- Major In-Filled Residential Subdivision with DA Approval for 43 Residential lots ranging in size from350m2 to 716m2 (Average of 424m2)
- Surrounded by development, the only major development site available in this mature area.
- Land Area: 2.55Ha or 6.3 Acres.
- All services and infrastructure available.
- Major lack of supply with residential vacancy rate of 0.7% (August 2023 SQM Research).
- Golden Corridor Less than 1 minute to Pacific Motorway taking you directly to Brisbane CBD or the Gold Coast.
- Minutes from Beenleigh Town Centre.
- McDonalds, KFC, Carl's Junior Burgers and Kebab only 3 minutes drive and 1.3km away.
- 24 mins to Brisbane CBD
- 30 mins to Gold Coast CBD
Motivated owners want it sold, enquire now before you miss out on this rare subdivision ready development opportunity.
Address: 31 Blackbird Street and 53 Pheasant Avenue, Beenleigh QLD 4207
Price: Auction on Wednesday, 18th of October, 10am at Yong Corporate Office (Unless Sold Prior)
Inspect: By Appointment
Contact:
Harvey Huang
0401 026 693
[email protected]
- Major In-Filled Residential Subdivision with DA Approval for 43 Residential lots ranging in size from350m2 to 716m2 (Average of 424m2)
- Surrounded by development, the only major development site available in this mature area.
- Land Area: 2.55Ha or 6.3 Acres.
- All services and infrastructure available.
- Major lack of supply with residential vacancy rate of 0.7% (August 2023 SQM Research).
- Golden Corridor Less than 1 minute to Pacific Motorway taking you directly to Brisbane CBD or the Gold Coast.
- Minutes from Beenleigh Town Centre.
- McDonalds, KFC, Carl's Junior Burgers and Kebab only 3 minutes drive and 1.3km away.
- 24 mins to Brisbane CBD
- 30 mins to Gold Coast CBD
Motivated owners want it sold, enquire now before you miss out on this rare subdivision ready development opportunity.
Address: 31 Blackbird Street and 53 Pheasant Avenue, Beenleigh QLD 4207
Price: Auction on Wednesday, 18th of October, 10am at Yong Corporate Office (Unless Sold Prior)
Inspect: By Appointment
Contact:
Harvey Huang
0401 026 693
[email protected]
Property Info
Municipality
Beenleigh
AUCTION
Add to calendar
Thank You
Your enquiry has been sent!
Enquiry is Failed
Please contact your administrator.