$68,000
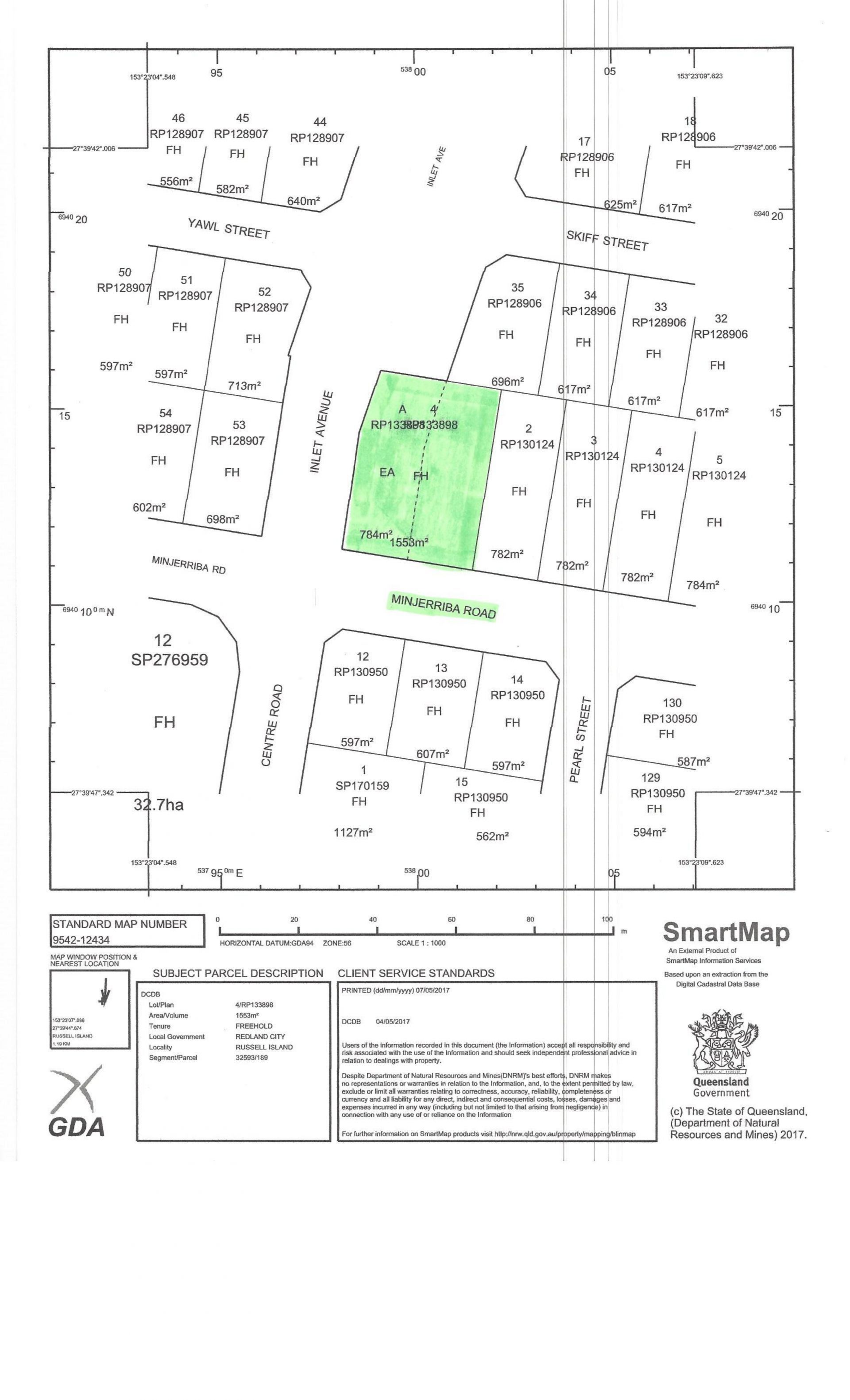
39 Minjerriba Rd., Russell Island, QLD 4184
IF YOU ARE LOOKING FOR A LARGE BLOCK...???? THIS IS IT...!!!! PRICE JUST REDUCED...!!!
Double size, (1,553 m2 ) flat corner block with 33 metre frontage to a sealed road...located at the
Northern end of the island on the Eastern side and only minutes to shops and ferry ..
Room to build your new home...a " Man Shed " and plenty of space for kids,dogs and all the toys..!!
Two street access gives flexibility to position the house and allow access for boat or trailer..
The block is tree'd so some clearing would be needed...leaving some shade trees for those warm summer days ..HOWEVER the owner has just had the block cleared of ALL UNDERGROWTH AND SMALL TREES.....!!!!!
Space to grow and enjoy relaxed island lifestyle
Northern end of the island on the Eastern side and only minutes to shops and ferry ..
Room to build your new home...a " Man Shed " and plenty of space for kids,dogs and all the toys..!!
Two street access gives flexibility to position the house and allow access for boat or trailer..
The block is tree'd so some clearing would be needed...leaving some shade trees for those warm summer days ..HOWEVER the owner has just had the block cleared of ALL UNDERGROWTH AND SMALL TREES.....!!!!!
Space to grow and enjoy relaxed island lifestyle
Property Info
Municipality
Russell Island
- 1,553 Sqm
@realty Surfers Paradise
Australia
Surfers Paradise, QLD 4217
Tel: 1300299377
NEARBY PROPERTIES
Juri Karter
Thank You
Your enquiry has been sent!
Enquiry is Failed
Please contact your administrator.