$780,000
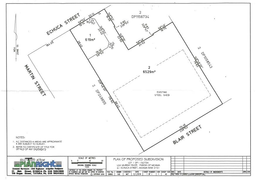
61 Echuca Street, Moama, NSW 2731
Rent or Buy, with plenty of options
Situated in the heart of Moama's Industrial Hub is this securely fenced industrial allotment of 7,148m2 (approx) featuring a 3,000m2 (approx.) shed with a concrete floor,
inside you'll find kitchen, bathroom and multipurpose office space.
Surrounding the shed is plenty of yard space for storage of vehicles and equipment.
Currently leased on a month by month basis by an excellent tenant and returning $63,636.36 + GST (tenant pays 3/4 of rates amount and remaining outgoings)
There is opportunity to subdivide the land further (S.T.C.A) as per listed plans ( Owner would look at holding subdivided portion fronting Echuca Street therefore reducing sale price ) with the possibility to have access from Echuca and Blair Street's, making access a breeze.
Owner would look at dividing shed for approved tenants or buyer and look at creating seperate entry point (STCA).
inside you'll find kitchen, bathroom and multipurpose office space.
Surrounding the shed is plenty of yard space for storage of vehicles and equipment.
Currently leased on a month by month basis by an excellent tenant and returning $63,636.36 + GST (tenant pays 3/4 of rates amount and remaining outgoings)
There is opportunity to subdivide the land further (S.T.C.A) as per listed plans ( Owner would look at holding subdivided portion fronting Echuca Street therefore reducing sale price ) with the possibility to have access from Echuca and Blair Street's, making access a breeze.
Owner would look at dividing shed for approved tenants or buyer and look at creating seperate entry point (STCA).
Property Info
Municipality
Moama
- 7,148 Sqm
CENTURY 21 Rich River Real Estate Echuca
128 Hare Street
Echuca, VIC 3564
Tel: +61354823433
NEARBY PROPERTIES
Andrew Lochhead
Thank You
Your enquiry has been sent!
Enquiry is Failed
Please contact your administrator.